沖縄のダイビングサービス、サクセスマリンのスタッフによる、ゆるーいダイビングログ
×
[PR]上記の広告は3ヶ月以上新規記事投稿のないブログに表示されています。新しい記事を書く事で広告が消えます。
フィリピンに上陸しそうな台風13号
とんでもない勢力ですね・
中心気圧 885hPa 最大風速 65m 瞬間最大風速 90m
気圧が、900 切ってる・・・・・
では、16日の土曜日に行った大浦 天気は
で痛い日射し


ヨスジフエダイやアカヒメジが
出迎えてくれました。
深場は透明度が良く気持ち良かった~
エビと共生してるハゼや

アオハチハゼ →
水温は、27℃位で上等~
隠れてるつもりの、シャコや 
ゴーヤみたいなサンゴ →
お昼後は、
ユビエダハマサンゴの群生地へ
透明度は、10mなかったけど・・・
それが故に
魚があんまり警戒してなかった~
コロダイに近寄れたし~
ミノウミウシが、
そろそろ歩いてた
白黒のウミシダ
ここの名物は、
ハマクマノミの
デコレーションケーキ~
ハマクマだらけ~~~
とんでもない勢力ですね・
中心気圧 885hPa 最大風速 65m 瞬間最大風速 90m
気圧が、900 切ってる・・・・・
では、16日の土曜日に行った大浦 天気は
で痛い日射しヨスジフエダイやアカヒメジが
出迎えてくれました。
深場は透明度が良く気持ち良かった~
アオハチハゼ →
水温は、27℃位で上等~
ゴーヤみたいなサンゴ →
ユビエダハマサンゴの群生地へ
透明度は、10mなかったけど・・・
それが故に
魚があんまり警戒してなかった~
ミノウミウシが、
そろそろ歩いてた
白黒のウミシダ
ハマクマノミの
デコレーションケーキ~
ハマクマだらけ~~~

PR
こんばんわ~。 タカト です。
今回は、10月2日にキジムナーチームと一緒に行った、本島近辺ボートでのアドバンス-3日目です
最終日に行うことはディープダイビング
目指すは残波の30m

透明度もよく、水面を見ると海の青さが綺麗でした
30mに行くまでには穴もくぐったり。

何だか、南部の斎場御嶽のようです
さて、スクールはというと、最終日も順調
ディープではいつも以上にBCにエアーを入れたり、浮上時にはその分抜いてあげないといけないことが分かっていただけたと思います


30mでもニッコリ&Wピース



2本目はポイントを変えて、ソフトコーラルが綺麗なポイントでファンダイビング
ミドリリュウグウウミウシや、イロブダイの幼魚を見たり、地形を楽しんだりと盛りだくさん
ウミウシ・イロブダイ幼魚は写真が上手く撮れていなかったので、10月11日の日記をご覧ください

エキジット前にお二人で記念撮影
ご卒業おめでとうございます
今回は、10月2日にキジムナーチームと一緒に行った、本島近辺ボートでのアドバンス-3日目です

最終日に行うことはディープダイビング

目指すは残波の30m

透明度もよく、水面を見ると海の青さが綺麗でした

30mに行くまでには穴もくぐったり。
何だか、南部の斎場御嶽のようです

さて、スクールはというと、最終日も順調

ディープではいつも以上にBCにエアーを入れたり、浮上時にはその分抜いてあげないといけないことが分かっていただけたと思います

30mでもニッコリ&Wピース



2本目はポイントを変えて、ソフトコーラルが綺麗なポイントでファンダイビング

ミドリリュウグウウミウシや、イロブダイの幼魚を見たり、地形を楽しんだりと盛りだくさん

ウミウシ・イロブダイ幼魚は写真が上手く撮れていなかったので、10月11日の日記をご覧ください

エキジット前にお二人で記念撮影
ご卒業おめでとうございます
今日は北谷のショップで、海班と陸班にわかれて、お掃除です。
キジムナーは、海班
で、透明度も上等! 
レイシガイダマシにやられたサンゴ発見
しっかり駆除しました。
ロクセンスズメも手伝って
くれるわけないですね・
手負いのアカジン発見

これだけのゴミを集めました。
綺麗になるのは、気持ちがいいですね!
キジムナーは、海班
で、透明度も上等! レイシガイダマシにやられたサンゴ発見
しっかり駆除しました。
くれるわけないですね・
手負いのアカジン発見
これだけのゴミを集めました。
綺麗になるのは、気持ちがいいですね!
連休も終わり、静かな砂辺です。
お天気崩れる予報だけど、まだ薄日が差してます。
ログは、去った 3日のを・・・
タカトも一緒に恩納ボートへ
お客さんは、自分のペースで、
2~3ダイブ
キジムナーが撮った写真を整理してたら・
←こんな写真があって、なにげなく見てたら・・・
目の上の所に、文字のようなものが・
アルファベットの BT? BF?
いやいや 漢字の「日下」に見えました!
見えますか~?

海の中は、カメラやビデオを持ってる方が
いらっしゃったので、みなさん
思い思いに撮影大会~
オオモンも、いつものとこに 
←オレンジ色のクサビライシが
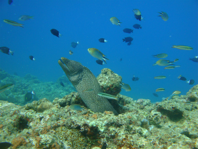
ウツボが魚を狙ってたけど・・・
食べれず・
3ダイブ目は、
万座ドリームホールへ
ネオンを走らせてる
ウコンハネガイ
カスミチョウチョウウオや
グルクンに囲まれ~

お客さんが、
イセエビの抜け殻を見つけました
お天気崩れる予報だけど、まだ薄日が差してます。
ログは、去った 3日のを・・・
タカトも一緒に恩納ボートへ
お客さんは、自分のペースで、
2~3ダイブ
←こんな写真があって、なにげなく見てたら・・・
目の上の所に、文字のようなものが・
アルファベットの BT? BF?
いやいや 漢字の「日下」に見えました!
見えますか~?
いらっしゃったので、みなさん
思い思いに撮影大会~
←オレンジ色のクサビライシが
ウツボが魚を狙ってたけど・・・
食べれず・
万座ドリームホールへ
ネオンを走らせてる
ウコンハネガイ
グルクンに囲まれ~
お客さんが、
イセエビの抜け殻を見つけました
カレンダー
| 12 | 2026/01 | 02 |
| S | M | T | W | T | F | S |
|---|---|---|---|---|---|---|
| 1 | 2 | 3 | ||||
| 4 | 5 | 6 | 7 | 8 | 9 | 10 |
| 11 | 12 | 13 | 14 | 15 | 16 | 17 |
| 18 | 19 | 20 | 21 | 22 | 23 | 24 |
| 25 | 26 | 27 | 28 | 29 | 30 | 31 |
ご来場者数
カテゴリー
最新コメント
[12/21 gymnansisse]
[12/20 gymnansisse]
[12/20 Wourllums]
[07/11 タカト]
[02/27 米倉 進]
最新トラックバック
プロフィール
HN:
success marine
性別:
非公開
職業:
ダイビングサービス
趣味:
ダイビング、お酒
自己紹介:
沖縄のダイビングサービス、サクセスマリンのブログです。スタッフたちによるダイビングログや、サクセスマリン最新情報、沖縄のイベント、美味しいものなど、盛りだくさんの内容をお届けします!
ブログ内検索
忍者アド
