沖縄のダイビングサービス、サクセスマリンのスタッフによる、ゆるーいダイビングログ
×
[PR]上記の広告は3ヶ月以上新規記事投稿のないブログに表示されています。新しい記事を書く事で広告が消えます。
久々のケラマボートで若干焦げた タカト です。
今日はキジムナーチームがファンダイビング3名、タカトチームがシュノーケル1名と分かれてケラマへ行ってきました
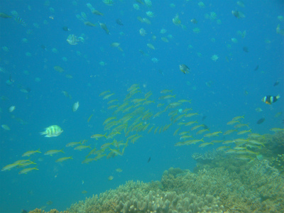
1本目はイソバナが多く、棚の上はハードコーラルが綺麗なポイント

海底が水面で鏡のように反射しています

透明度もよく、シュノーケルで14m程にいるダイバーも目視できました。
2本目は真っ白な砂地に小さな根がいくつか点在しているポイント。
カメラを持って行くのを忘れてしまったので写真はありませんが、30cm程の特大ハリセンボンがいてました
3本目はカメを狙ったポイント
入った瞬間、ボートの下に居てくれました

水面へ息継ぎをしに行ったカメも近くで見れました

エキジット寸前、キジムナーチームを発見し、お互いに写真を撮ってました
シュノーケルのお客さんは、海でウミガメを見たかったようで、夢が叶ってとても嬉しそうでした
-----------------------------------------------------------------------
キジムナーファンチームです。
上等!

ダイビング日和です!
なので、
普段あまり行けないポイントから
イソバナ いっぱい~
と、ゆう事は、流れる所
なので、

あまり行けないのです・
ホワイトチップがいてたり、
遺跡みたいな
怪しい地形もあります。
お次は、デバスズメと戯れ
ラストは、カメさん。
タカトチームと写真を撮りあい
みなさん思い思いに

2or3ダイブされてました~
夕陽も上等でしたよ~
水平線に沈んだし~
今日はキジムナーチームがファンダイビング3名、タカトチームがシュノーケル1名と分かれてケラマへ行ってきました

1本目はイソバナが多く、棚の上はハードコーラルが綺麗なポイント

海底が水面で鏡のように反射しています

透明度もよく、シュノーケルで14m程にいるダイバーも目視できました。
2本目は真っ白な砂地に小さな根がいくつか点在しているポイント。
カメラを持って行くのを忘れてしまったので写真はありませんが、30cm程の特大ハリセンボンがいてました

3本目はカメを狙ったポイント

入った瞬間、ボートの下に居てくれました

水面へ息継ぎをしに行ったカメも近くで見れました

エキジット寸前、キジムナーチームを発見し、お互いに写真を撮ってました

シュノーケルのお客さんは、海でウミガメを見たかったようで、夢が叶ってとても嬉しそうでした
-----------------------------------------------------------------------
キジムナーファンチームです。
上等! ダイビング日和です!
なので、
普段あまり行けないポイントから
と、ゆう事は、流れる所
なので、
あまり行けないのです・
遺跡みたいな
怪しい地形もあります。
お次は、デバスズメと戯れ
ラストは、カメさん。
みなさん思い思いに
2or3ダイブされてました~
夕陽も上等でしたよ~
水平線に沈んだし~
カレンダー
| 12 | 2026/01 | 02 |
| S | M | T | W | T | F | S |
|---|---|---|---|---|---|---|
| 1 | 2 | 3 | ||||
| 4 | 5 | 6 | 7 | 8 | 9 | 10 |
| 11 | 12 | 13 | 14 | 15 | 16 | 17 |
| 18 | 19 | 20 | 21 | 22 | 23 | 24 |
| 25 | 26 | 27 | 28 | 29 | 30 | 31 |
ご来場者数
カテゴリー
最新コメント
[12/21 gymnansisse]
[12/20 gymnansisse]
[12/20 Wourllums]
[07/11 タカト]
[02/27 米倉 進]
最新トラックバック
プロフィール
HN:
success marine
性別:
非公開
職業:
ダイビングサービス
趣味:
ダイビング、お酒
自己紹介:
沖縄のダイビングサービス、サクセスマリンのブログです。スタッフたちによるダイビングログや、サクセスマリン最新情報、沖縄のイベント、美味しいものなど、盛りだくさんの内容をお届けします!
ブログ内検索
忍者アド

到着のお客さん達とシュノーケルを楽しんできました。