沖縄のダイビングサービス、サクセスマリンのスタッフによる、ゆるーいダイビングログ
×
[PR]上記の広告は3ヶ月以上新規記事投稿のないブログに表示されています。新しい記事を書く事で広告が消えます。
前回の紹介から、リピートしてくださったゲストと一緒に、慶良間で3本
前日・前々日は社員旅行の時間を利用して、AOWの講習も行ってきたそうです
天気予報は、曇りのち雨
船上は寒いかもしれません~と話していましたが、出港と同時に晴れ間が
ラッキー
良いお天気の中、タマナーファーム・トウマ西西・野崎へと行ってきました。
カメポイントでお馴染みのタマナーファームでは、キャベツ(方言でタマナー)のようなリュウキュウキッカサンゴを見ながら、カメを探してあっちへこっちへ
泳ぎまくった結果、全然見つからず…
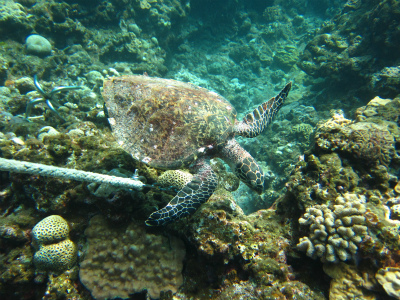
すみません…と思いながらボートへ戻ると、ボート下にタイマイが
居てくれて良かった~という気持ちと、ここにおるんかい!という複雑な気持ちでした
トウマ西西・野崎では、サンゴに群れるハナゴイや、キホシスズメダイ、ハコフグなどを見てきました

慶良間についても、良いお天気になりました

アンカー付近でお食事中だったタイマイ

写真であの凄さを表すのは限界か

レアなイロブダイの幼魚も見ることが出来ました
ウミガメは1匹でしたが、ゆっくりとフィッシュウォッチングできた日でした
明日は、今日到着の社員の方と一緒に、砂辺で体験ダイビングです

前日・前々日は社員旅行の時間を利用して、AOWの講習も行ってきたそうです

天気予報は、曇りのち雨

船上は寒いかもしれません~と話していましたが、出港と同時に晴れ間が

ラッキー

良いお天気の中、タマナーファーム・トウマ西西・野崎へと行ってきました。
カメポイントでお馴染みのタマナーファームでは、キャベツ(方言でタマナー)のようなリュウキュウキッカサンゴを見ながら、カメを探してあっちへこっちへ

泳ぎまくった結果、全然見つからず…
すみません…と思いながらボートへ戻ると、ボート下にタイマイが

居てくれて良かった~という気持ちと、ここにおるんかい!という複雑な気持ちでした

トウマ西西・野崎では、サンゴに群れるハナゴイや、キホシスズメダイ、ハコフグなどを見てきました

慶良間についても、良いお天気になりました

アンカー付近でお食事中だったタイマイ

写真であの凄さを表すのは限界か

レアなイロブダイの幼魚も見ることが出来ました

ウミガメは1匹でしたが、ゆっくりとフィッシュウォッチングできた日でした

明日は、今日到着の社員の方と一緒に、砂辺で体験ダイビングです

PR
昨日のゲストと、今日は真栄田岬です。
1本目は青の洞窟方面へ。
夏のピークは過ぎたものの、まだまだ観光客の団体さんは多いですね
サクセスはのんびり行きます
お昼からのダイビングということもあり、洞窟の青は少し濁っていましたが、入ったときにはダイバーは少なくほぼ貸切に
最近、ツイてます
-18mではワカウツボ、ハナミノカサゴ(幼魚)、アンナウミウシなどに会えました
2本目は、青の洞窟と反対方向へ。
こちらは人が少ないのでじっくりと魚を見たり、ダイナミックな地形を楽しめるのでオススメ
-30mを覗き込みながら、フワフワと泳ぐ感覚はいつ来ても最高です
タコや、キンギョハナダイ、シモフリタナバタウオなどを見てきました

夏休みは終わっても、シュノーケラーいっぱいでした~

久しぶりに出会えた、シモフリタナバタウオ
自分をウツボだと思わせる為にこんな模様をしています

本物のウツボはこんなの
似てるっちゃ似てる

こちらはロープ?小枝?に擬態中のヘラヤガラ
バレバレですね

ムチカラマツには、ガラスハゼがひっそりと暮らしていました
真栄田岬は人が多いですが、洞窟だけではない楽しいポイントでしたね
また一緒に潜りましょう
1本目は青の洞窟方面へ。
夏のピークは過ぎたものの、まだまだ観光客の団体さんは多いですね

サクセスはのんびり行きます

お昼からのダイビングということもあり、洞窟の青は少し濁っていましたが、入ったときにはダイバーは少なくほぼ貸切に

最近、ツイてます

-18mではワカウツボ、ハナミノカサゴ(幼魚)、アンナウミウシなどに会えました

2本目は、青の洞窟と反対方向へ。
こちらは人が少ないのでじっくりと魚を見たり、ダイナミックな地形を楽しめるのでオススメ

-30mを覗き込みながら、フワフワと泳ぐ感覚はいつ来ても最高です

タコや、キンギョハナダイ、シモフリタナバタウオなどを見てきました

夏休みは終わっても、シュノーケラーいっぱいでした~

久しぶりに出会えた、シモフリタナバタウオ

自分をウツボだと思わせる為にこんな模様をしています

本物のウツボはこんなの
似てるっちゃ似てる
こちらはロープ?小枝?に擬態中のヘラヤガラ

バレバレですね

ムチカラマツには、ガラスハゼがひっそりと暮らしていました

真栄田岬は人が多いですが、洞窟だけではない楽しいポイントでしたね

また一緒に潜りましょう

今日到着で、サクセスでスクールを卒業されたゲストと、砂辺で2ダイブしてきました
お昼到着だったので、まずは沖縄そばで腹ごしらえをしてから
転勤以来の沖縄の海ということで、ログブックを見てみると3年ぶり!
「色々忘れてると思います…」とおっしゃっていたので、1本目はリフレッシュ。
陸上で、スキルの確認や、中性浮力の取り方、器材セッティングなどなど。
話していると意外と覚えているものなんですよね
海へ行ってみると、体も海の中を覚えていたようで、中性浮力バッチリ
予定コースよりも色々と周ってきました。
2本目はミズタマサンゴに住んでいる、オラウータンクラブを見つけることを目標に。
壁についているミズタマサンゴを、1つ残らずチェックしていく作戦
7箇所目くらいで発見
いてくれて良かった~

海へ入った瞬間、シマハギは大移動~

ゲストが魚を見ているそばで、ハマクマノミもゲストを見ています

白いサンゴに、オレンジの体が映える、オラウータンクラブ

リュウグウウミウシもいました
もちろん、砂辺自慢のソフトコーラルの大群生も漂って、ゆっくり癒されてきました
明日は真栄田岬です

お昼到着だったので、まずは沖縄そばで腹ごしらえをしてから

転勤以来の沖縄の海ということで、ログブックを見てみると3年ぶり!
「色々忘れてると思います…」とおっしゃっていたので、1本目はリフレッシュ。
陸上で、スキルの確認や、中性浮力の取り方、器材セッティングなどなど。
話していると意外と覚えているものなんですよね

海へ行ってみると、体も海の中を覚えていたようで、中性浮力バッチリ

予定コースよりも色々と周ってきました。
2本目はミズタマサンゴに住んでいる、オラウータンクラブを見つけることを目標に。
壁についているミズタマサンゴを、1つ残らずチェックしていく作戦

7箇所目くらいで発見
いてくれて良かった~
海へ入った瞬間、シマハギは大移動~

ゲストが魚を見ているそばで、ハマクマノミもゲストを見ています

白いサンゴに、オレンジの体が映える、オラウータンクラブ

リュウグウウミウシもいました

もちろん、砂辺自慢のソフトコーラルの大群生も漂って、ゆっくり癒されてきました

明日は真栄田岬です

カレンダー
| 02 | 2026/03 | 04 |
| S | M | T | W | T | F | S |
|---|---|---|---|---|---|---|
| 1 | 2 | 3 | 4 | 5 | 6 | 7 |
| 8 | 9 | 10 | 11 | 12 | 13 | 14 |
| 15 | 16 | 17 | 18 | 19 | 20 | 21 |
| 22 | 23 | 24 | 25 | 26 | 27 | 28 |
| 29 | 30 | 31 |
ご来場者数
カテゴリー
最新コメント
[12/21 gymnansisse]
[12/20 gymnansisse]
[12/20 Wourllums]
[07/11 タカト]
[02/27 米倉 進]
最新トラックバック
プロフィール
HN:
success marine
性別:
非公開
職業:
ダイビングサービス
趣味:
ダイビング、お酒
自己紹介:
沖縄のダイビングサービス、サクセスマリンのブログです。スタッフたちによるダイビングログや、サクセスマリン最新情報、沖縄のイベント、美味しいものなど、盛りだくさんの内容をお届けします!
ブログ内検索
忍者アド
だったけど
