沖縄のダイビングサービス、サクセスマリンのスタッフによる、ゆるーいダイビングログ
×
[PR]上記の広告は3ヶ月以上新規記事投稿のないブログに表示されています。新しい記事を書く事で広告が消えます。
名護から崎本部のゴリラチョップへ行くまでに、東屋が目印のポイントがあります。
今日はそのポイントでスクールの続きをしてきた タカト です
実はこのポイント、潜れるという情報はあったものの、潜ったことの無い新ポイントなのです


エントリーポイント付近はこんな感じ。
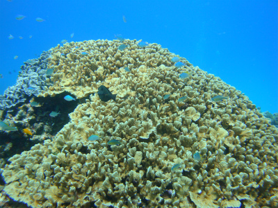
水中はやや大きめの岩がゴロゴロしてて、全体的にコケなどの付着物が多かったです。
そこから砂地がダラダラと深くなって行き、深いところでは20m近くありました。
そうそう、エントリー直後には壊れた自転車が沈んでいました。

こんなものを見たら、やることは1つ
ちゃんと乗ってきました笑
写真は無いですが
特に珍しいといった生物はいなかったですが、可愛いのが1匹・・・

ミナミハコフグの幼魚
すばしっこいですが、絵になります
肝心のスクールはというと、無事に終了し、卒業されました
立派なダイバーがまた1人増えました
おめでとうございます
彼女さんもダイバーなので、これからはお2人でたくさん潜られてくださいね
3日間お疲れ様でした
-----------------------------------------------------------------------
チービシ&読谷沖に行ってきた キジムナーです。
で水温は、27℃と海の中は快適~ だったけど・
北風なので、船に上がった瞬間が、寒かったです・・・・・
波も結構あったので、無理してケラマへ行っても
ポイント的に・・・・・ なので、

チービシで地形、サンゴ、魚を
楽しみました~

ミジュンの群も現れましたよ~
3本目は、読谷沖で、

クマノミやスズメダイ達に
癒されました。
夕陽は、
雲が影になって
光の筋が上等でした!
今日はそのポイントでスクールの続きをしてきた タカト です

実はこのポイント、潜れるという情報はあったものの、潜ったことの無い新ポイントなのです

エントリーポイント付近はこんな感じ。
水中はやや大きめの岩がゴロゴロしてて、全体的にコケなどの付着物が多かったです。
そこから砂地がダラダラと深くなって行き、深いところでは20m近くありました。
そうそう、エントリー直後には壊れた自転車が沈んでいました。
こんなものを見たら、やることは1つ
ちゃんと乗ってきました笑写真は無いですが

特に珍しいといった生物はいなかったですが、可愛いのが1匹・・・
ミナミハコフグの幼魚
すばしっこいですが、絵になります
肝心のスクールはというと、無事に終了し、卒業されました

立派なダイバーがまた1人増えました
おめでとうございます
彼女さんもダイバーなので、これからはお2人でたくさん潜られてくださいね

3日間お疲れ様でした

-----------------------------------------------------------------------
チービシ&読谷沖に行ってきた キジムナーです。
で水温は、27℃と海の中は快適~ だったけど・北風なので、船に上がった瞬間が、寒かったです・・・・・
ポイント的に・・・・・ なので、
チービシで地形、サンゴ、魚を
楽しみました~
ミジュンの群も現れましたよ~
3本目は、読谷沖で、
クマノミやスズメダイ達に
癒されました。
夕陽は、
雲が影になって
光の筋が上等でした!
本日のサクセスマリンは、荒田、安田、佐藤の三班に分かれて行動。それぞれ、ケラマ、本部、大度へと向かいました。
ということで、一先ず佐藤班からの報告です。
前線からの影響を受け、砂辺の海はいまいちな状態。そこで向かった先は、比較的穏やかな大度海岸(沖縄本島の南端。近くには、ひめゆりの塔や平和祈念公園があります)。
車を走らせること一時間余り、サトウキビ畑を抜けると、いよいよ目的地に到着。いそいそと着替えて、いざ海へと向かいました。
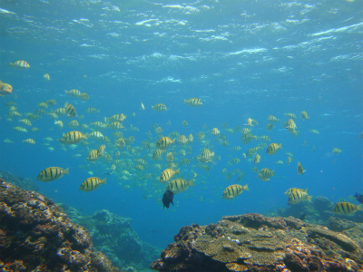
前日に仕入れた情報通り、エントリーしてまもなく『ミジュン(イワシのような魚)』の大群が登場!視界いっぱいに広がるその群れは、先端と末端が見えないほど長大で、時折渦を巻き、かと思えば一直線に走り出したりと、次々に姿を変化していました。
その他、デバスズメやクラカオスズメダイ、ムラサメモンガラ、たくさんのベラ達に取り囲まれ、同行したお客様がシュノーケルを加えたままで、口々に「スゴーイ!!」と歓声を上げておりました。そうそう、『テングカワハギ』も見ることができましたよ!
さて、「文章はもういいから、写真が見たい」という声が聞こえてきそうですが、私、水中カメラは一眼レフしか持っておらず、シュノーケリングということもあって、自宅待機させておりまして…写真を撮っていないんです

水中世界を満喫したあとは、「玉城乗馬ファーム」へ向かいました。ムシャムシャと草を食べながら、二頭の馬がお出迎え。乗馬初体験のお客様をお相手するのは、大きいお馬さん。終始笑顔で楽しんでおられました。

折角ここまで着たのだからと、喜屋武岬まで足を運ぶわれら。自然の造形が生み出したダイナミックな景色に、しばし圧倒されたのでした。
こんなに美しく、素晴らしいところなのに、悲劇の舞台となってしまったことを思い起こし、改めて平和への祈りを捧げたのでありました。 佐藤
ということで、一先ず佐藤班からの報告です。
前線からの影響を受け、砂辺の海はいまいちな状態。そこで向かった先は、比較的穏やかな大度海岸(沖縄本島の南端。近くには、ひめゆりの塔や平和祈念公園があります)。
車を走らせること一時間余り、サトウキビ畑を抜けると、いよいよ目的地に到着。いそいそと着替えて、いざ海へと向かいました。
前日に仕入れた情報通り、エントリーしてまもなく『ミジュン(イワシのような魚)』の大群が登場!視界いっぱいに広がるその群れは、先端と末端が見えないほど長大で、時折渦を巻き、かと思えば一直線に走り出したりと、次々に姿を変化していました。
その他、デバスズメやクラカオスズメダイ、ムラサメモンガラ、たくさんのベラ達に取り囲まれ、同行したお客様がシュノーケルを加えたままで、口々に「スゴーイ!!」と歓声を上げておりました。そうそう、『テングカワハギ』も見ることができましたよ!
さて、「文章はもういいから、写真が見たい」という声が聞こえてきそうですが、私、水中カメラは一眼レフしか持っておらず、シュノーケリングということもあって、自宅待機させておりまして…写真を撮っていないんです

こんなに美しく、素晴らしいところなのに、悲劇の舞台となってしまったことを思い起こし、改めて平和への祈りを捧げたのでありました。 佐藤
前線の低下で北風が吹いている沖縄です。
北風に吹かれると、ホームポイントの砂辺は荒れてしまうので、今日は崎本部へ行ってきました
崎本部といえば、このポイント。

ゴリラチョップ
右の岩、ゴリラがチョップしているように見えましたか?
昨日はカリフォルニアで軽く練習しましたが、波が上がってきた為、途中で中止してました。
今日は海も穏やかなポイントなので、1本目で再度ゆっくり練習
2本目では水中姿勢や中性浮力、潜降・浮上、フィンキックを重点的に練習
ゴリラに見守られながら、順調に進みました
笑
そんなスクール中、マクロな生物を発見


体長10cm程のヨウジウオ
クルクルと岩の周りを泳いでいたので、追いかけてみると、2匹いてました

しばらく寄り添って泳いでいたので、夫婦かもしれませんね
同じ岩に1~2cmのウミウシもいてました

小さすぎて、なかなかピントが合わなかった、ヨゾラミドリガイかな~?
移動中にはこんなのもいました

名前が分かりません。。。調べたら載せます
今日はスクールをしながらも色々と見れて嬉しかった マクロ好きのタカト でした
------------------------------------------------------------------------
遅ればせながら・・・・・ キジムナーです
タカト&SATOチームは、北部へ 自分達は南部の大度海岸へ行ってきました。
沖縄病にかかった同級生も一緒に~
空の青と海の青
タイドプールには、ミジュンの群
今日は、アウトリーフまで
シュノーケルで行きました
サンゴが復活してて、とっても上等~

ヨコシマタマガシラ、サザナミハギ、シマハギ、キビナゴ 等など
いろんな群が見れましたよ~
遅いランチは、海の見えるカフェで
実は、そば屋と思ってたのが、
カフェになってました・
後は、斎場御嶽に行き
南部の海を眺めて帰ってきました。
北風に吹かれると、ホームポイントの砂辺は荒れてしまうので、今日は崎本部へ行ってきました

崎本部といえば、このポイント。
ゴリラチョップ
右の岩、ゴリラがチョップしているように見えましたか?昨日はカリフォルニアで軽く練習しましたが、波が上がってきた為、途中で中止してました。
今日は海も穏やかなポイントなので、1本目で再度ゆっくり練習

2本目では水中姿勢や中性浮力、潜降・浮上、フィンキックを重点的に練習

ゴリラに見守られながら、順調に進みました
笑そんなスクール中、マクロな生物を発見

体長10cm程のヨウジウオ

クルクルと岩の周りを泳いでいたので、追いかけてみると、2匹いてました

しばらく寄り添って泳いでいたので、夫婦かもしれませんね

同じ岩に1~2cmのウミウシもいてました

小さすぎて、なかなかピントが合わなかった、ヨゾラミドリガイかな~?
移動中にはこんなのもいました

名前が分かりません。。。調べたら載せます

今日はスクールをしながらも色々と見れて嬉しかった マクロ好きのタカト でした
------------------------------------------------------------------------
遅ればせながら・・・・・ キジムナーです
タカト&SATOチームは、北部へ 自分達は南部の大度海岸へ行ってきました。
空の青と海の青
タイドプールには、ミジュンの群
シュノーケルで行きました

サンゴが復活してて、とっても上等~
ヨコシマタマガシラ、サザナミハギ、シマハギ、キビナゴ 等など
いろんな群が見れましたよ~
実は、そば屋と思ってたのが、
カフェになってました・
後は、斎場御嶽に行き
南部の海を眺めて帰ってきました。
朝から佐藤さんとトレーニングしていた タカト です。
カリフォルニアにはエントリー直後、左右に2本の水路があります。
いつもは右の水路から、ダラダラ~っと水深を下げて行き、いろいろな方向へ行きます。
右は交通量も多いため、左で練習していました。
3項目ほど練習し、帰ろうとした矢先、佐藤さんが見つけました。


ジャン
パンダツノウミウシ
その大きさ、約2~3cm
小さすぎて見つけにくいことはもちろん、個体数も少ないのでかなりレア
思わず、「ウォー!!」っと声にならない声を出していました笑
いつもはカメラを持って入る僕も、「トレーニングには邪魔かな?」と思い、用意はしたものの持っていない時に・・・
しかも、ふと目をやった場所に、もう1匹別のウミウシが。

真ん中に、チドリミドリガイがいます
見つけられますか??
まるで、ウ○ーリーを探せ状態ですね笑

こちらの方が分かりやすいと思います。
真ん中より、少し左の膨らんでる部分です
小さな白い触覚が2本出ています。
すぐに上がり、タンクを交換し、カメラを持って、今度はスタッフ3人で再出動
笑
10分ほど探し、写真に収める事ができました
次に発見することはできるかどうか・・・
カリフォルニアにはエントリー直後、左右に2本の水路があります。
いつもは右の水路から、ダラダラ~っと水深を下げて行き、いろいろな方向へ行きます。
右は交通量も多いため、左で練習していました。
3項目ほど練習し、帰ろうとした矢先、佐藤さんが見つけました。
ジャン
パンダツノウミウシ
その大きさ、約2~3cm
小さすぎて見つけにくいことはもちろん、個体数も少ないのでかなりレア

思わず、「ウォー!!」っと声にならない声を出していました笑
いつもはカメラを持って入る僕も、「トレーニングには邪魔かな?」と思い、用意はしたものの持っていない時に・・・
しかも、ふと目をやった場所に、もう1匹別のウミウシが。
真ん中に、チドリミドリガイがいます
見つけられますか??まるで、ウ○ーリーを探せ状態ですね笑
こちらの方が分かりやすいと思います。
真ん中より、少し左の膨らんでる部分です

小さな白い触覚が2本出ています。
すぐに上がり、タンクを交換し、カメラを持って、今度はスタッフ3人で再出動
笑10分ほど探し、写真に収める事ができました

次に発見することはできるかどうか・・・
カレンダー
| 12 | 2026/01 | 02 |
| S | M | T | W | T | F | S |
|---|---|---|---|---|---|---|
| 1 | 2 | 3 | ||||
| 4 | 5 | 6 | 7 | 8 | 9 | 10 |
| 11 | 12 | 13 | 14 | 15 | 16 | 17 |
| 18 | 19 | 20 | 21 | 22 | 23 | 24 |
| 25 | 26 | 27 | 28 | 29 | 30 | 31 |
ご来場者数
カテゴリー
最新コメント
[12/21 gymnansisse]
[12/20 gymnansisse]
[12/20 Wourllums]
[07/11 タカト]
[02/27 米倉 進]
最新トラックバック
プロフィール
HN:
success marine
性別:
非公開
職業:
ダイビングサービス
趣味:
ダイビング、お酒
自己紹介:
沖縄のダイビングサービス、サクセスマリンのブログです。スタッフたちによるダイビングログや、サクセスマリン最新情報、沖縄のイベント、美味しいものなど、盛りだくさんの内容をお届けします!
ブログ内検索
忍者アド


